Futbol La Selección de Honduras le ganó a la de México en San Pedro Sula, en un encuentro pasado por lluvia.( Foto: @FFH_Honduras ) Futbol México volvió a perder 2-0 ante Honduras y complicó boleto al Final Four 15 noviembre 2024
Futbol Edson Álvarez, quien aquí trata de driblar a Deybi Flores, anotó el dramático gol que mandó todo a la prórroga y posteriormente a los penaltis.( Foto: @miseleccionmx ) Futbol México logra dramático triunfo en penaltis y se mete a la Copa América 2024 21 noviembre 2023
Futbol Luis Chávez y el Tricolor deberán hacer un juego casi perfecto para buscar imponerse a Honduras en el Azteca y avanzar a la Copa América 2024.( Foto: @miseleccionmx ) Futbol México apelará al peso del Estadio Azteca para buscar holgado triunfo ante Honduras 20 noviembre 2023
Futbol México se mostró inoperante.( Foto: X @miseleccionmx ) Futbol México sucumbe en Honduras y deberá remontar en el Azteca 17 noviembre 2023
Futbol La Selección Mexicana enfrenta un crucial duelo.( Foto: X @miseleccionmx ) Futbol México busca ante Honduras su pase a la Copa América 16 noviembre 2023
Futbol Orbelín Pineda y la Selección Mexicana de futbol ya llegaron a territorio catracho para jugar ante Honduras. ( Foto: @miseleccionmx ) Futbol Llega Selección Mexicana a suelo hondureño para disputar la Concacaf Nations League 15 noviembre 2023
Futbol El América sigue con paso imbatible en el Azteca.( Foto: @ClubAmerica ) Futbol América derrota al Necaxa y sigue siendo perfecto en el Estadio Azteca 3 abril 2021
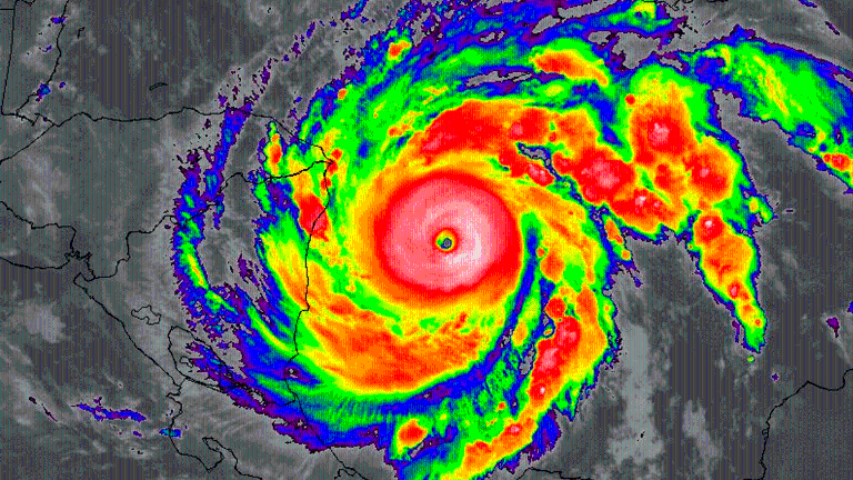
Lab Protec Provocará lluvias en algunos estados de México.( Foto: AP ) Lab Protec Huracán Iota se debilita hasta la categoría 1 17 noviembre 2020