Huracán Iota se debilita hasta la categoría 1

Provocará lluvias en algunos estados de México
17/11/2020 12:42

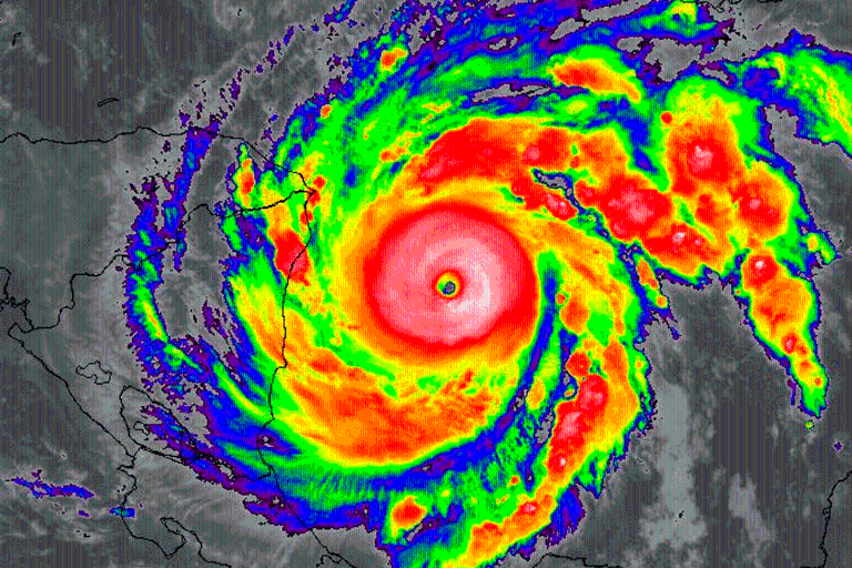
Ciudad de México.- La Comisión Nacional del Agua (Conagua) informó que el centro del huracán “Iota” ya es de categoría 1 en la escala de Saffir-Simpson, sin embargo, causará estragos en diferentes estados de México.

Por medio de sus redes sociales explicó que “Iota” se localiza actualmente sobre el norte de Nicaragua, a 220 kilómetros al este de Tegucigalpa, Honduras, y a 620 kilómetros al sureste de Puerto Costa Maya, Quintana Roo.

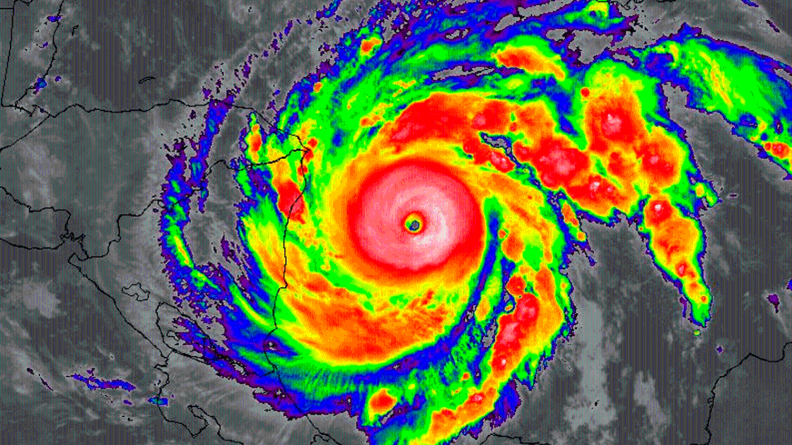
Ciudad de México.- La Comisión Nacional del Agua (Conagua) informó que el centro del huracán “Iota” ya es de categoría 1 en la escala de Saffir-Simpson, sin embargo, causará estragos en diferentes estados de México.

Por medio de sus redes sociales explicó que “Iota” se localiza actualmente sobre el norte de Nicaragua, a 220 kilómetros al este de Tegucigalpa, Honduras, y a 620 kilómetros al sureste de Puerto Costa Maya, Quintana Roo.

Ciudad de México.- La Comisión Nacional del Agua (Conagua) informó que el centro del huracán “Iota” ya es de categoría 1 en la escala de Saffir-Simpson, sin embargo, causará estragos en diferentes estados de México.

Por medio de sus redes sociales explicó que “Iota” se localiza actualmente sobre el norte de Nicaragua, a 220 kilómetros al este de Tegucigalpa, Honduras, y a 620 kilómetros al sureste de Puerto Costa Maya, Quintana Roo.