|
Clima

‘Erick’ se fortalece y ya es un huracán de categoría 3

Se prevé que durante la noche toque tierra entre Oaxaca y Guerrero
18/06/2025 17:39

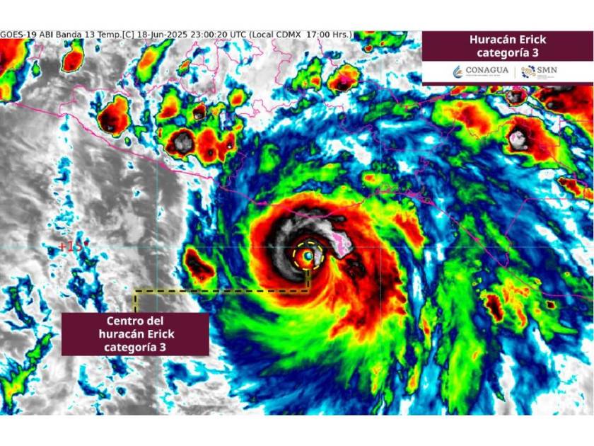
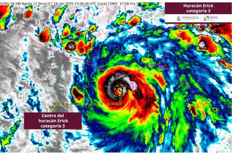
El huracán Erick ha tomado más fuerza conforme mantiene su trayectoria hacia territorio mexicano y ya es un huracán de categoría 3.

El Servicio Meteorológico Nacional informó que durante la tarde de este miércoles este ciclón tomó más fuerza.

A las 18:00 horas, tiempo del centro de México, se ubicaba a 90 kilómetros al sur-suroeste de Puerto Ángel, Oaxaca, y a 260 kilómetros al sureste de Punta Maldonado, Guerrero.

$!‘Erick’ se fortalece y ya es un huracán de categoría 3

“Erick” registraba vientos máximos sostenidos de 195 kilómetros por hora y alcanzaba rachas de hasta 220 kilómetros.

Su desplazamiento se mantenía hacia el noroeste, a 15 kilómetros por hora.

Por la cercanía con las costas, antes de tocar tierra, se advierten lluvias extraordinarias, de más de 250 milímetros, en Oaxaca, además de torrenciales, de entre 150 y 250 milímetros, en la zona de Guerrero y Chiapas.

Ante el inminente impacto en las costas mexicanas, las autoridades mantienen una zona de prevención por efectos de vientos de huracán desde Acapulco hasta Puerto Ángel, en Oaxaca.

Y se espera que el efecto de vientos se tenga sobre Oaxaca y Guerrero, con zonas donde llegará hasta los 210 kilómetros por hora.

En lo que resta del día se prevé que se mantenga en ese nivel de huracán y ya en la medianoche, después de tocar tierra, se prevé que se degrade a tormenta tropical sobre Guerrero.