|
Clima

Huracán Erick alcanza la categoría 4; advierten sobre su alta peligrosidad

Con vientos sostenidos de 230 kilómetros por hora, el ciclón representa un alto riesgo para la zona sur del País como las costas de Oaxaca y Guerrero
18/06/2025 22:53

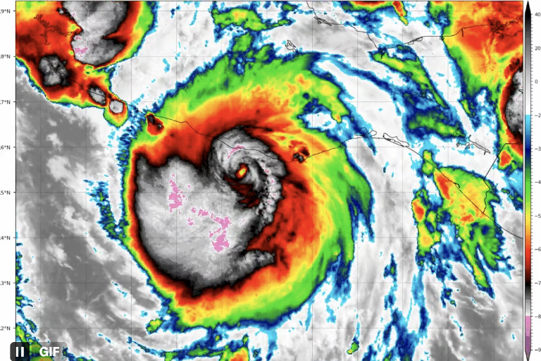
El huracán Erick se intensificó a categoría 4 en las costas del Océano Pacífico, con vientos sostenidos de 230 kilómetros por hora.

El Centro Nacional de Huracanes de Estados Unidos confirmó el alcance del huracán y su extrema peligrosidad.

De acuerdo con los últimos reportes meteorológicos, el ciclón se ubica a 110 kilómetros al oeste-suroeste de Puerto Ángel, Oaxaca; y a 145 kilómetros al sureste de Punta Maldonado, Guerrero.

Se alerta sobre oleaje elevado y vientos severos a lo largo de la zona costera de Oaxaca, así como lluvias torrenciales durante las próximas 24 horas.

Se exhorta a la población a extremar precauciones, mantenerse informada a través de canales oficiales y seguir las indicaciones de las autoridades.