|
Clima

Las tormentas y huracanes afectan a la langosta del Caribe

Aunque ya existe tecnología suficiente para rastrear a los huracanes y obtener información para tomar mejores decisiones, el cambio climático los hace cada vez más impredecibles
12/10/2024 11:35

Kenya Robles

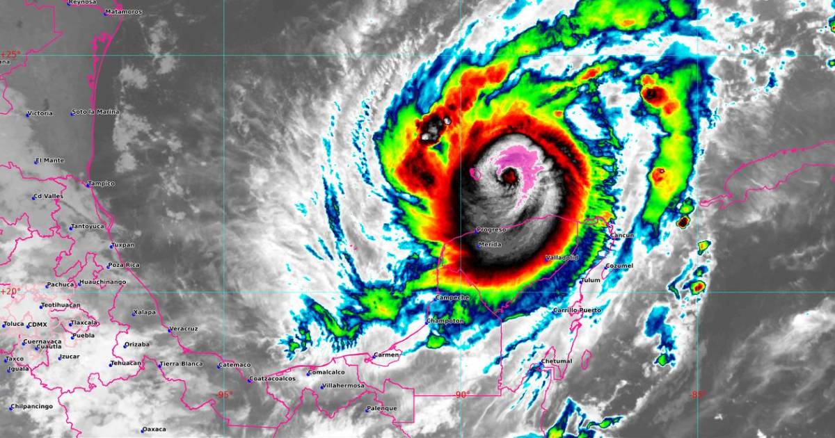
Las costas de Yucatán y Quintana Roo, hábitat de la langosta común del Caribe, se vieron azotadas por la tormenta tropical Alberto el pasado 19 de junio, por el huracán Beryl el 5 de julio; y por el huracán Helene el 25 de septiembre. Fenómenos meteorológicos que perjudicaron el desarrollo de la langosta, e impidieron su comercio, sobre todo, a mercados internacionales.

Así lo refiere Manuel Mendoza de 69 años, presidente desde 1989 de la cooperativa Vigía Chico, quien comercializa y exporta Langosta (Panulirus argus) a China y Singapur.

“Nuestro problema es el medio ambiente. Vino el huracán, bueno, una tormenta, se llama Alberto, inundó toda la península de Yucatán y entonces se desahogan en el mar Caribe las lluvias, y entonces la langosta es enemigo del agua dulce, la luz y el viento”, explicó Mendoza.

La cooperativa que dirige se rige por una pesca sustentable que cuida y respeta los ciclos de vida de la langosta y su hábitat. Si el crustáceo se mantiene fuerte y grande, se puede transportar en contenedores que recorrerán grandes distancias para llegar a su destino del otro lado del océano Pacífico.

Pese a sus esfuerzos por una pesca sustentable, los fenómenos atmosféricos como los huracanes afectan la vitalidad de la langosta.

“A los compradores no les interesa la langosta débil, porque no llega [viva] a Taiwán, no llega a Singapur”, alertó Mendoza.

Cómo funciona un huracán

En el Golfo de México y el Mar Caribe, la temporada de huracanes va desde junio hasta noviembre. La media es de siete huracanes por temporada, de acuerdo al Centro Nacional de Huracanes (NHC por sus siglas en inglés). Pueden ocurrir en otra época del año, pero por lo general el mayor número sucede en dichos meses.

Un huracán se caracteriza por sus vientos fuertes y lluvias intensas. Pueden causar daños significativos debido a su fuerza y a las inundaciones que provocan. Sin embargo, los huracanes son necesarios, refiere Ruth Cerezo Motta, del Instituto de Ingeniería de la Universidad Nacional Autónoma de México de la Unidad Sisal.

“Son necesarios, digamos, es una cosa que sucede de manera natural y necesitan existir para mantener el balance entre lo calientito de los trópicos y lo templado de latitudes altas”, mencionó Cerezo Motta.

El impacto puede ser devastador, especialmente en áreas donde la infraestructura no está preparada para soportar sus efectos.

Qué podemos hacer

La cooperativa de Mendoza no fue la única afectada por el huracán. También la padeció José Ángel de la Cruz Canto Noh, de 56 años de edad, presidente de la Sociedad Cooperativa de Producción Pesquera Cozumel.

“A partir del día 1 de julio al 28 de febrero, que es la temporada de langosta para nosotros comercialmente aquí en el Caribe, en el litoral de Golfo y Caribe de México, se levanta la temporada de langosta espinosa Panulirus argus, que es la del Caribe. Sin embargo, a partir del día primero, empezamos a tener afectación, primero por el huracán que se avecinaba y empezamos a hacer la actividad de la pesca hasta el día 12 de julio”, explicó de la Cruz.

Aunque ya existe tecnología suficiente para rastrear a los huracanes y obtener información para tomar mejores decisiones, el cambio climático los hace cada vez más impredecibles.

“El calentamiento global está haciendo, lo que te decía, que se vuelva más complicado de predecir muchas cosas. Y muchas cosas que entendíamos cómo sucedían, no sólo en términos de huracanes, sino otros procesos atmosféricos que entendíamos cómo sucedían, ya no estén sucediendo o están sucediendo más intensos”, explicó la investigadora.

Un huracán necesita que haya cierta inestabilidad atmosférica y temperaturas mayores a 26 grados centígrados para que ocurra. Con el calentamiento global la temperatura aumenta y eso permite mayor estabilidad en la atmósfera, impidiendo movimientos verticales que formen e intensifiquen a los huracanes.

“Aunque puede que ya no haya más huracanes, cuando sí se formen, no sólo sean más intensos, porque la intensidad sólo nos habla de la velocidad de los vientos, sino que cuando llueva traigan más agua de lo que solían traer”, dijo Ruth Cerezo.

Pese a este mal pronóstico que afecta directamente a las cooperativas pesqueras, hay una solución: el cuidado de la barrera arrecifal. Ésta impide que los oleajes sean tan fuertes en el hábitat de la langosta y así crezca sana para competir en mercados internacionales.

“Les llamamos desastres naturales y yo creo que son desastres sociales, porque viene de que nos instalamos donde no debíamos, destruimos las protecciones naturales, en el Caribe estamos acabando con la barrera de arrecife que nos protege, oleajes muy fuertes, nos echamos los manglares que nos protegen de los vientos y ... entonces cuando llega una marejada, pues por supuesto se lleva a nuestras casas y seguimos devastando el medio ambiente”, concluyó la investigadora.

Este texto fue originalmente publicado en Causa Natura Media.