|
Clima

Se forma la tormenta tropical Madeline en el Océano Pacífico; se mantiene frente a Colima

Sus bandas nubosas en interacción con los remanentes de ‘Lester’ dejarán lluvias en Guerrero, Michoacán, Oaxaca, Colima, Jalisco, Nayarit, Estado de México, Morelos y Puebla
17/09/2022 17:22

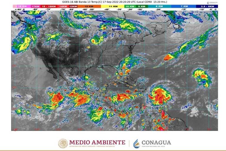
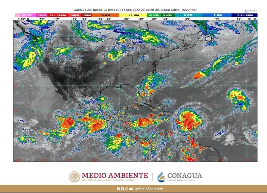
Una nueva tormenta, que lleva por nombre Madeline, se formó la tarde de este sábado en el Océano Pacífico, al sur-suroeste de Colima, de acuerdo con el Servicio Meteorológico Nacional.

A las 16:00 horas, tiempo del centro del País, se localizó a 450 kilómetros al sur-suroeste de Manzanillo, Colima, y a 840 kilómetros al sur-sureste de Cabo San Lucas, Baja California Sur, con desplazamiento hacia el norte a 2 kilómetros por hora, con vientos sostenidos de 75 kilómetros por hora y rachas de 95 kilómetros por hora, añadió el SMN.

“Lluvias puntuales extraordinarias (mayores a 250 milímetros (en Michoacán, torrenciales (de 150 a 250 milímetros) en Colima e intensas (75 a 150 milímetros) en Jalisco y Nayarit (sur)”, pronosticó para las siguientes horas.

$!Se forma la tormenta tropical Madeline en el Océano Pacífico; se mantiene frente a Colima

“Dichas lluvias originarán incremento en los niveles de ríos y arroyos, deslaves e inundaciones en zonas bajas de dichas entidades”.

Añadió que su circulación generará vientos con rachas de 40 a 50 kilómetros por hora y oleaje de 2 a 4 metros de altura en costas de Nayarit (sur), Jalisco, Colima y Michoacán.

Por ello recomendó extremar precauciones a la población en general en las zonas de los estados mencionados por lluvias, viento u oleaje, incluyendo la navegación marítima, y atender las recomendaciones emitidas por las autoridades del Sistema Nacional de Protección Civil, en cada entidad.

Pronosticó para las 13;00 horas de este domingo la tormenta tropical se ubicará a 310 kilómetros al oeste-suroeste de Playa Perula, Jalisco; a las 13:00 horas del lunes 19 de septiembre se encontrará a 295 kilómetros al sur de cabo San Lucas, Baja California Sur y a las 13:00 horas del martes 20 se encontrará a 380 kilómetros al suroeste de cabo San Lucas, BCS.

Se prevé que a las 13:00 horas del martes 21 de septiembre la tormenta tropical Madeline se localice a 550 kilómetros al sur-suroeste de Cabo San Lázaro, BCS, y el miércoles 22 a las 13:00 horas se encuentre a 760 kilómetros al suroeste de cabo San Lázaro, BCS.

Para Sinaloa y otras entidades del País se pronostican para las próximas horas lluvias puntuales fuertes de 25 a 50 milímetros.

‘Lester’ se convierte en baja presión remanente

La Comisión Nacional del Agua informó que la tormenta tropical ‘Lester’ disminuyó su intensidad y se convirtió en baja presión remanente, ubicada al sureste de Guerrero. Su centro se localiza a 20 kilómetros al nor-noreste de Punta Maldonado, y a 155 kilómetros este-sureste de Acapulco, donde se registran vientos máximos sostenidos de 45 kilómetros por hora y rachas de 65 kilómetros por hora; además, mantiene un desplazamiento hacia el norte a 4 kilómetros por hora. Conagua reitera a la ciudadanía tomar precauciones y atender los avisos de las autoridades locales ante la posibilidad de que las precipitaciones ocasionadas por ambos sistemas generen deslaves, incremento en los niveles de ríos y arroyos, y desbordamientos e inundaciones.